Become a MacRumors Supporter for $50/year with no ads, ability to filter front page stories, and private forums.

MacRumors

macrumors bot
Original poster



Despite being located in the largest shopping mall in the United States as measured by leasable square feet, Apple's King of Prussia retail store at the King of Prussia Mall outside of Philadelphia is nothing special by Apple's standards, occupying a fairly small amount of space with just 30 feet of frontage inside the mall. The store is one of the older ones in Apple's chain, having opened in November 2002.

apple_store_king_of_prussia_1311.jpg



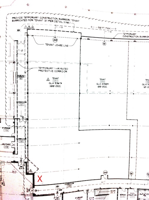
Construction document identifying Apple as tenant of space 1311 at King of Prussia Mall
That will be changing within the next few months, however, as MacRumors has received a few details on a new space Apple will be occupying in a redeveloped section of the mall. According to construction documents, Apple's new location in space #1311 will measure nearly 10,000 square feet and occupy an L-shaped footprint within the mall, although some of that space will undoubtedly be set aside for back-of-house operations.

apple_store_king_of_prussia_blueprint.jpg



Blueprint showing Apple's new 9,967 square foot retail store space at King of Prussia Mall
Our source was able to obtain a photo of the interior of the space Apple will occupy, and it is clear that Apple has not yet begun to build out the distinctive details that will make it immediately identifiable as an Apple retail store. But with the space currently in shell condition, Apple should be able to move relatively quickly on construction to fit out the new store.

apple_store_king_of_prussia_shell.jpg



Shell space for Apple's new King of Prussia retail store
(Photo taken from rear corner of store, marked with red "X" in construction document above)
An opening date for the expanded location remains unknown, but Apple typically tries to have each year's batch of new stores opened by mid-November so that they are ready for the busy holiday shopping season.

(Thanks, Fred!)

Article Link: Apple Preparing Move to Expanded Space at Largest Mall in U.S.
 
At first I read, "Apple is expanding to space", and then I re-read it and was disappointed 🙁
 
Went to school near that mall, and the apple store is not very big right now given that within the mall there are several stores (GameStop, Victorias secret, etc.) that actually have 2 separate locations. Makes sense for them to expand, excited to see what they can come up with.
 
As a minnesotan, I am dissapointed. I had no idea until this post that the Mall of America wasn't the largest mall. Also, the apple strore in the MOA isn't top notch. Sure it's alright but with the white walls of the wing it looks almost dirty. At least it isn't anything like the microsoft store. Walked into apple and was talked to nicely by many employees, got what I wanted and almost bought a macbook. Walked into the microsoft store, asked a question to a guy who was on his phone, and then was pointed to an empty shelf.....:apple:
Apple store, MOA: http://images.apple.com/retail/mallofamerica/images/mallofamerica_hero.jpg
 
Mall of America is bigger when including the theme park, but smaller when comparing actual retail square footage.
 
Awesome, great news. This is the Apple store I go to. Unfortunately I dread going there sometimes because it is such a mad house. Great news.
 
The new store looks big enough to get lost in.

My wife took a photo of me at the King of Prussia Apple Sore on one of our vacation trips. I guess I'll have to make another trip east to update my photo when the new store opens.
 

Attachments

  • King of Prussia.jpg
    King of Prussia.jpg
    35.8 KB · Views: 3,567
Never understood the fascination with a big empty room containing rows of plain tables with Apple stuff on them.

What's so cool about an Apple store ?
You can get all that stuff online without hassle.

Is it the clueless inept jokers at the " genius" bar who never really offer a good solution other than buying newer Apple crap because they haven't the slightest clue as to how to actually fix a problem?

Is it the over priced accesories that will be obsolete in a year ?

Is it the hordes of people who stand in line for something that they could just as easily order online ?

I don't get it.

The Apple store is boring as hell

----------

The new store looks big enough to get lost in.

My wife took a photo of me at the King of Prussia Apple Sore on one of our vacation trips. I guess I'll have to make another trip east to update my photo when the new store opens.

Lost in what ?!!

Apple only has a handful of products ! Like you have never seen an iPod or an iMac or an iPad ?????


I don't get it.


You can see it all at one 5 second glance
 
Never understood the fascination with a big empty room containing rows of plain tables with Apple stuff on them.

What's so cool about an Apple store ?
You can get all that stuff online without hassle.

Is it the clueless inept jokers at the " genius" bar who never really offer a good solution other than buying newer Apple crap because they haven't the slightest clue as to how to actually fix a problem?

Is it the over priced accesories that will be obsolete in a year ?

Is it the hordes of people who stand in line for something that they could just as easily order online ?

I don't get it.

The Apple store is boring as hell

Personally, I like the stores because I like to touch and play with items before I buy them, especially electronics. If I was not able to try the new glass trackpads with multi-touch back in 2008 in the new unibodies, I probably would own a Dell and would never have joined this forum. The experience of the trackpad's amazingness sold me on buying a Mac.
 
Never understood the fascination with a big empty room containing rows of plain tables with Apple stuff on them.

What's so cool about an Apple store ?
You can get all that stuff online without hassle.

Is it the clueless inept jokers at the " genius" bar who never really offer a good solution other than buying newer Apple crap because they haven't the slightest clue as to how to actually fix a problem?

Is it the over priced accesories that will be obsolete in a year ?

Is it the hordes of people who stand in line for something that they could just as easily order online ?

I don't get it.

The Apple store is boring as hell

----------



Lost in what ?!!

Apple only has a handful of products ! Like you have never seen an iPod or an iMac or an iPad ?????


I don't get it.


You can see it all at one 5 second glance

its just how stores for "luxery goods" are set up. go to LV, Gucci or Hermes and its always the same style. the more expensive their goods the emptier the stores because it looks more "classy" and clean

if you want to crawl through mountains of stuff, maybe BestBuy, Wallmart or Target serves your needs better 😉
 
Sounds like Mr. Gates applied to be a Genius but was denied.

Why do people go to Apple stores?
Steve Jobs put it best, "when people are educated about our products, they often choose them."

There are many other reasons, which I'm sure you're aware of, but you're so jacked up on Doritos and Mt. Dew that you can't control your troll.

At the end if the day, it really doesn't matter "if you understand it" or not. They're a huge success without you.
 
Personally, I like the stores because I like to touch and play with items before I buy them, especially electronics. If I was not able to try the new glass trackpads with multi-touch back in 2008 in the new unibodies, I probably would own a Dell and would never have joined this forum. The experience of the trackpad's amazingness sold me on buying a Mac.

And this is why I think that Apple dumping boxed software is a mistake. Often I want to read the box, talk to someone, get a small demo... Doing to the 'Mac App Store' just doesn't have the 'feel' of the store. The research is done in the privacy of my own office/home, rather than in the hustle and bustle of the Apple Store. I can't count on one had the amount of software that I've purchased at the Apple Store just because I was there and read the box and talked to people that use it. Of course I can't count on two hands the amount of stuff that I've bought at the Apple Store on impulse too.

Impulse shopping works well. Impulse shopping online is harder to pull off...

Or else I need more training... 😉
 
I don't remember it being too small... but wow... now that I think of it. The last time I was in that Apple Store... I was having them fix my keyboard on my 466Mhz Key Lime G3 iBook... it must have been right after they just opened. Wow that takes me back... 😀

It was quite a drive too! Good thing there are closer stores around here now. 🙂
 
As you asked, I'll give an answer...

Never understood the fascination with a big empty room containing rows of plain tables with Apple stuff on them.

What's so cool about an Apple store ?
You can get all that stuff online without hassle.

Is it the clueless inept jokers at the " genius" bar who never really offer a good solution other than buying newer Apple crap because they haven't the slightest clue as to how to actually fix a problem?

Is it the over priced accesories that will be obsolete in a year ?

Is it the hordes of people who stand in line for something that they could just as easily order online ?

I don't get it.

The Apple store is boring as hell

----------



Lost in what ?!!

Apple only has a handful of products ! Like you have never seen an iPod or an iMac or an iPad ?????


I don't get it.


You can see it all at one 5 second glance

The reasons I go to the Apple store are these: I can walk in, get whatever I need, purchase it, and walk out, without having someone walk up to me and ask me about cable television, my refrigerator, or if I've seen the new release of some DVD (think Best Buy). I don't go to stores like Best Buy. I shop specialty stores. It's a MUCH less annoying way to shop.

When I do want to talk to someone, they are available, helpful, and have useful answers. You may have had a problem with a Genius at the Genius Bar, but my experience has always been one of, "let's get this fixed." I've NEVER had one attempt to up sell/cross sell me. I've never had it happen to anyone at any of the campuses for the non-profit I worked for. That's lots of people (greater than 50). So my personal experience is consistent over a user base I can point to.

Last, sometimes I want to see if a MBP is going to fit in a backpack, how much the MBA actually weighs, and is the graphics card/display REALLY capable enough. You say in your sig that this is a forum to discuss rumors, not a fan club. I want to lay my hands on eqpt and see it work for myself before I go staking MY reputation on it working. Yes, Apple has a fandamntastic reality distortion field. When it's shut off, does the eqpt do the job? I've been MUCH less disappointed in Apple than any other vendor (including several I've worked for).

So, there's several reasons for you. Consider them, throw them aside, or agree, up to you.

One point I would like to make. Have you ever been in a Windows store? They have one (and an Apple store) at the Mall I go to (Park Meadows). I wandered in by accident after the Windows store opened. I say by accident because I thought the Apple store had moved to where the Windows store was. They looked exactly the same (initially)....
 
Last edited:
So let me get this straight.

First you insult me , then you get on your knees for the almighty Steve Jobs, then make some more ridiculous claims and no real counter argument, then you insult my intelligence.

Hmmm, who is the real Troll here ?

I stated MY opinion about the Apple stores. I didn't attack you personally. Why you feel like everyone is attacking you is probably something you should discuss with your therapist or mommy.

Also ....READ MY SIGNATURE and learn a thing or two.

I don't think it's necessary for any of you to be speaking to one-another like this. This is a tech forum; personal attacks derived from our passion for or against these products is not what this space is here to provide. Collaboration and discussion is what it's about. Attack the brand and the products, not each-other or his/her ethics.
 
As a minnesotan, I am dissapointed. I had no idea until this post that the Mall of America wasn't the largest mall. Also, the apple strore in the MOA isn't top notch. Sure it's alright but with the white walls of the wing it looks almost dirty. At least it isn't anything like the microsoft store. Walked into apple and was talked to nicely by many employees, got what I wanted and almost bought a macbook. Walked into the microsoft store, asked a question to a guy who was on his phone, and then was pointed to an empty shelf.....:apple:
Apple store, MOA: http://images.apple.com/retail/mallofamerica/images/mallofamerica_hero.jpg

I live 20 minutes from MOA and I can't remember the last time I was there. Only thing I remember about the Apple store is Microsoft having a store right across the isle. The Apple store was packed and the Microsoft store was basically empty except for some kids using Kinect.
 
I don't care what anybody says, nothing beats the beast of Mall of America that's in my backyard. The place has freaking roller coasters inside it.

It's crazy though that Mall of America isn't even in the top 10 list of the world though. I have been to many of the world's biggest malls, mainly in Malaysia and Thailand.
 
I lived about 30 minutes away from KOP for 10 years. It's a decent mall, but I had no idea it was one of the largest by square feet... I imagine some other malls in other countries would have it beat easily, since it really didn't seem that big.

In regards to the Apple store; I remember when it first opened -- it was and is quite small relative to the volume of traffic it received -- that place was always packed.
 
I bought an iPod there 8 years ago. Never again. I live very close to KoP and I avoid it like the plague. That whole town is going to sink one day.

Anyway yeah, Apple could triple the size of their KoP store and it might still not be enough. That place is always stuffed to the gills. Had a few friends that worked there over the years and I heard some great horror stories.
 
...Is it the clueless inept jokers at the " genius" bar who never really offer a good solution other than buying newer Apple crap because they haven't the slightest clue as to how to actually fix a problem?...

The Apple Geniuses are great. They are good for more than just Apple support. They helped me write my master's thesis and my doctoral dissertation in molecular biology. I have been applying to get a job in the Apple Store at Penn Square Mall in Oklahoma City (Working in their Cancer Research Department), however, they want me to do some postdoctoral work or get a degree in particle physics to supplement my current education.

I will say, the math and foreign language portions of the Apple Standardized Intelligence Tests were the most challenging tasks of my life.

Note: I understand, Apple has changed it's policy and anyone holding a Nobel Prize in any field is automaticly granted a position in an Apple retail store, however, they must work their way into a position as a creative or Genius. This may be the easy way to go.
 
Register on MacRumors! This sidebar will go away, and you'll see fewer ads.